Tormenta tropical ‘Beryl’ se convirtió en huracán
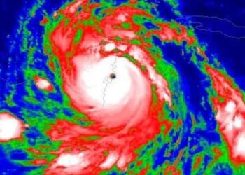
La tormenta tropical 'Beryl' se convirtió en huracán este sábado a medida que avanza hacia el sureste del Caribe, y ...
La tormenta tropical 'Beryl' se convirtió en huracán este sábado a medida que avanza hacia el sureste del Caribe, y ...
CIUDAD VICTORIA, TAMPS. En tres días más, para el jueves 4 de abril, se tiene programado por parte de la ...
