LA MADRE TIERRA POR CARLOS CORTÉS VELÁZQUEZ
Un huracán es una tormenta muy fuerte que se forma sobre el océano. Imagina un gran remolino de viento y lluvia que causa daños. Los huracanes se forman cuando el aire cálido y húmedo del océano sube y crea zonas de baja presión, lo que hace que el aire circundante gire y se convierta en un ciclón.
La pregunta es ¿Cómo se forman? Los huracanes comienzan como pequeñas tormentas sobre el océano y cuando el agua cálida del océano se evapora y sube, forma nubes y viento. A medida que el viento gira y se fortalece, se convierte en un huracán. Tienen un “ojo” central, que es una zona de relativa calma rodeada por la pared del ojo, donde se encuentran los vientos y lluvias más fuertes y se clasifican en categorías, de 1 a 5, según la escala Saffir-Simpson, basándose en la intensidad de sus vientos.
- HURACÁN “ALEX” EN TAMAULIPAS
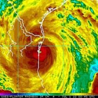
Hace más de 15 años, el huracán ‘Alex’ fue el primero en formarse en la Temporada de ciclones tropicales 2010 y pronto cobró fuerza hasta llegar a categoría 2, impactóando en la península de Yucatán y el noreste del país. De ese año fue sido el más costoso para nuestro país en materia de desastres, ya que el daño económico que dejó este fenómeno superó los 25 mil millones de pesos.
Asimismo, el impacto económico que generaron los ciclones tropicales de esa temporada explican, en gran medida el porque, el 2010, se convirtió en el año más costoso para México en materia de desastres, incluso sobrepasando los daños ocasionados por los sismos de septiembre de 1985, ya que fueron nueve los ciclones que afectaron directamente al país, algo que no sucedía desde 1971. Y sin duda, ‘Alex’, fue el que más daños y pérdidas provocó. En total se estima que el costo superó los 92 mil millones de pesos en ese año.
Alex se formó entre el 24 de junio y el 1 de julio, provocando daños de distintos niveles también en Belice, Honduras, El Salvador, Nicaragua, Guatemala y Estados Unidos. El Huracán impactó en 2 ocasiones territorio mexicano, la primera, en la península de Yucatán, ocasionando daños mínimos. La segunda fue en el noreste del país, donde tocó tierra como categoría 2 -en la escala Saffir-Simpson-, afectando a los estados de Tamaulipas, Nuevo León y Coahuila, y donde los daños fueron bastante severos.
Sus efectos más intensos se sintieron en las grandes urbes de esa región como Monterrey, Reynosa, Ciudad Victoria, Matamoros, Nuevo Laredo y Saltillo, principalmente. Como otros ciclones tropicales, Alex trajo consigo intensas precipitaciones, fuertes vientos, oleaje y altas mareas. El saldo de las vidas que cobró el fenómeno fue de 21.
De las 3 entidades afectadas, Nuevo León fue la que concentró la mayor proporción de daños y pérdidas con más de 21 mil millones de pesos (86% del total), seguido por Tamaulipas con poco más de 2 mil millones de pesos y Coahuila con mil 500 millones de pesos (8.3% y 5.7% del total, respectivamente). La Secretaría de Gobernación declaró como zona de desastre a 118 municipios de los 3 estados y el Fondo Nacional de Desastres Naturales erogó aproximadamente 18 mil millones de pesos, lo que representó el 70.5% del costo total del desastre.
El ciclón dejó a su paso también 158,130 damnificados, 171,000 hectáreas agrícolas inservibles y poco más de 2,300 empresas afectadas. Se contabilizaron en total más de 31,000 viviendas dañadas, 1,769 planteles educativos con algún tipo de daño; y tan sólo en Nuevo León y Tamaulipas 215 unidades de salud resultaron afectadas.
Los sectores económicos fueron los que sufrieron el mayor impacto, al registrarse daños y pérdidas por más de 14,500 millones de pesos debido a la fuerza con que ‘Alex’ golpeó las carreteras, los caminos, los puentes y la infraestructura urbana en general.
Aunque el sector productivo también sumó poco más de 2,000 millones de pesos en pérdidas, fue el sector social, que agrupa vivienda, educación, salud e infraestructura hidráulica, el que obtuvo el segundo mayor impacto al rebasar los 8,000 millones de pesos en daños.
La presa Rompepicos fue construida en el estado de Nuevo León como respuesta al impacto del Huracán Gilberto ocurrido en 1988, el cual dejó a su paso más de 200 lamentables defunciones. La presa tuvo un costo aproximado de 580 millones de pesos, y su mayor beneficio fue la considerable reducción del número de decesos, sin la cual se estima que los daños y pérdidas por el huracán ‘Alex’ se hubieran incrementado en más de 35%.
Esas fechas nunca las vamos a olvidar ante los serios daños dejados por el fenómeno natural ‘Alex’ que afectó a Tamaulipas y Nuevo León. Pero en la actualidad, la tormenta ‘Barry’, que impactó por el Norte de Veracruz, aumentó el riesgo por el alto volumen de agua que traía consigo, pero que generó la alta cresta de los ríos Pánuco y Tamesí, que rodean a la zona metropolitana del sur de Tamaulipas. Por eso, los gobiernos Federal y Estatal y Protección Civil, Cruz Roja Mexicana y la Guardia Nacional, se prepararon ente la llegada del fenómeno hidrometeorológico ‘Barry’ para garantizar, en la medida de lo posible, la seguridad, la integridad, de los ciudadanos, sus bienes y entorno. Y el operativo de protección civil funcionó. Y esa, claro, es una buena noticia. ¿No creé?

Gracias por recibirnos. Y agradecemos sus comentarios en mi correo electrónico: [email protected]. Y también estoy en Facebook: Carlos Cortés Jr.
Carlos Cortés Velázquez
LA MADRE TIERRA 2025
#ElReporteroMX #InformacionenTiempoReal
























