Activan alerta para Tamaulipas por Frente Frío 29
Por Julio Manuel Loya Guzmán. CIUDAD VICTORIA, TAMPS. La Coordinación Nacional de Protección Civil (CNPC) activó una alerta preventiva por ...
Por Julio Manuel Loya Guzmán. CIUDAD VICTORIA, TAMPS. La Coordinación Nacional de Protección Civil (CNPC) activó una alerta preventiva por ...
Por Julio Manuel Loya Guzmán. CIUDAD VICTORIA, TAMPS. El Servicio Meteorológico Nacional confirmó que Tamaulipas se mantiene bajo alerta preventiva ...
Por Julio Manuel Loya Guzmán. CIUDAD VICTORIA, TAMPS. El frente frío número 27 impactará de manera directa a Tamaulipas en ...
Enrique Jonguitud CIUDAD VICTORIA, TAMPS. La sequía en Tamaulipas cerró el año con un deterioro acelerado al duplicarse la superficie ...
El Servicio Nacional de Meteorología de EUA pronosticó intensas nevadas en partes de la región conocida como los Grandes Lagos. ...
Por Julio Manuel Loya Guzmán. CIUDAD VICTORIA, TAMPS. El frente frío número 17 avanza este domingo sobre el norte y ...
Enrique Jonguitud CIUDAD VICTORIA, TAMPS. El Servicio Meteorológico Nacional (SMN) alertó sobre un nuevo frente frío que afectará a Tamaulipas ...
Enrique Jonguitud CIUDAD VICTORIA, TAMPS. Se registró la primera helada de la temporada en el ejido La Marcela, en el ...
CIUDAD VICTORIA, TAMPS. La temporada invernal 2025-2026 podría ser una de las más intensas de los últimos años en Tamaulipas, ...
Por Julio Manuel Loya Guzmán REYNOSA, TAMPS. El Servicio Meteorológico Nacional (SMN) informó que el frente frío número uno de ...
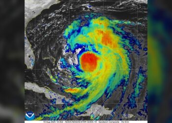
El fenómeno se situaba la mañana de este miércoles a unos 645 kilómetros al sureste de Cabo Hatteras, Carolina del ...
CIUDAD VICTORIA, TAMPS. El secretario de Salud, Vicente Joel Hernández Navarro, pidió a la población incrementar las medidas de prevención ...
AGENCIAS. Grupos de rescatistas trabajaban este lunes para encontrar a las decenas de desaparecidos por las inundaciones que causaron la ...
Impactarán toda esta semana al sur y centro de la entidad; Es Gómez Farías, Tamaulipas, el punto con mayor precipitación ...
Por Julio Manuel Loya Guzmán. CIUDAD VICTORIA, TAMPS. La baja presión remanente de la tormenta tropical ‘Barry’ continúa provocando condiciones ...
AGENCIAS. El huracán ‘Erick’ impactó territorio mexicano la madrugada de este jueves como un ciclón de categoría 3 en la ...
AGENCIAS. “Erick” se intensificó a huracán categoría 1 en la escala Saffir-Simpson durante la mañana de este miércoles, generando condiciones ...
AGENCIAS. Autoridades advirtieron ayer que el ciclón ‘Cosme’ y la tormenta ‘Bárbara’ podrían interactuar en el Pacífico, lo que provocaría lluvias ...
