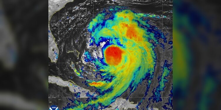
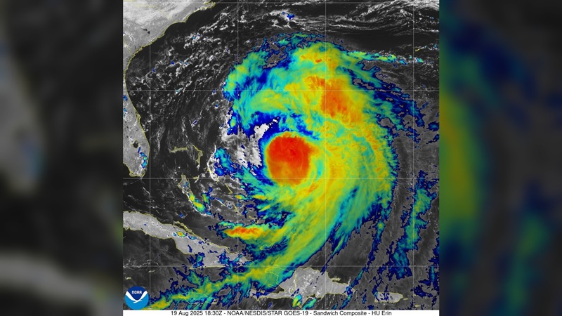
- El fenómeno se situaba la mañana de este miércoles a unos 645 kilómetros al sureste de Cabo Hatteras, Carolina del Norte, con vientos máximos sostenidos de 155 kilómetros por hora
AGENCIAS. El huracán ‘Erin’, de categoría dos, avanza por el Atlántico occidental y amenaza casi toda las costa este estadounidense con fuerte oleaje y corrientes de resaca, esto según el Centro Nacional de Huracanes (NHC) de Estados Unidos.
El fenómeno se situaba la mañana de este miércoles a unos 645 kilómetros al sureste de Cabo Hatteras, Carolina del Norte, con vientos máximos sostenidos de 155 kilómetros por hora, lo que representa una seria amenaza para el país vecino.
NHC indicó que ‘Erin’ es un huracán de categoría 2 en la escala Saffir-Simpson de un total de 5, las playas de casi toda la costa este de E.U. registrarán “condiciones extremadamente peligrosas, con oleaje fuerte y corrientes de resaca que amenazan la vida de bañistas y surfistas”.
Las autoridades recomendaron a la población que resida en zonas costeras de Carolina del Norte y Virginia a seguir órdenes de evacuación y medidas de seguridad locales, ante lo que describen como una situación potencialmente mortal por marejadas y oleaje.
Los meteorólogos advirtieron que las bandas exteriores del ciclón comenzarán a deteriorar las condiciones meteorológicas en Carolina del Norte a partir de esta tarde, con marejadas ciclónicas y fuertes corrientes que representan un peligro mortal.
Actualmente se encuentra en riesgo de marejada ciclónica Cape Lookout hasta Duck, en Carolina del Norte, así como un aviso de tormenta tropical entre Beaufort Inlet y la frontera con Virginia, incluyendo Pamlico Sound y Albemarle.
Asimismo, existe una vigilancia de tormenta tropical más al norte, hasta Chincoteague, Virginia, y en Bermudas.
Erin se desplaza hacia el nornoroeste a 20 kilómetros por hora, con previsión de girar al norte y noreste entre este miércoles y jueves, antes de tomar rumbo al Atlántico nororiental este viernes.
#ElReporteroMX #InformacionenTiempoReal








